国道293号線のアクセス良好
売地 赤見町 国道293号線のアクセス良好
価格 400万円
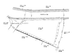
間取り/面積 357㎡ 所在地 栃木県佐野市赤見町3208-2
物件概要
- 物件種別
- 土地
- 所在地
- 栃木県佐野市赤見町3208-2
- 価格
- 400万円 (坪単価 3.71万円)
- 土地面積
- 357㎡
- 地目
- 田
- 都市計画
- 市街化区域
- 用途地域
- 第一種住居地域
- 接道
- 北8m公道、西4m公道
- 現状
- 更地
- 取引態様
- 専任媒介
- 物件番号
- 69840590008
- 備考
- 即時/現況渡し
- 情報登録日
- 2025年04月
国道293号線のアクセス良好
価格 400万円
間取り/面積 357㎡ 所在地 栃木県佐野市赤見町3208-2